?
2021-07-15 00:26?出處 封面新聞
杭州女子吸脂手術后器官衰竭致死:杭州女子小冉5月2日到杭州華顏醫療美容醫院做吸脂手術,兩個多月后因全身感染造成多器官衰竭,于7月13日搶救無效死亡。
在無家屬陪同的情況下進行全麻手術
封面新聞記者采訪小冉家屬得知,5月2日,小冉到杭州華顏醫療美容醫院進行了抽脂和脂肪填充的咨詢,隨后在醫院做了各項身體檢查及評估后,醫生對小冉實施了三個手術項目:腰腹吸脂修復術、雙上臂吸脂術和自體脂肪二次填充乳房術。

杭州華顏醫療美容醫院
“由于小冉手術前沒有提前告知,是獨自前往醫院的,所以家屬并不了解小冉在幾個小時的手術中到底發生了什么。直到5月4日早上6點34分接到杭州綠城心腦血管病醫院ICU醫生打來的電話通知,說小冉已多器官衰竭,請家屬盡快趕往醫院。我們焦急的趕到醫院的時候,ICU的醫生告知我們,小冉的情況很不樂觀,隨時都有生命危險,為什么那么晚才送來,已經錯過了最佳治療時間。”小冉的家屬告訴記者。

杭州女子吸脂手術后器官衰竭致死:浙江綠城心腦血管病醫院出院記錄
據醫院的記錄,小冉的術前麻醉時間為5月2日中午12點50分,手術開始于下午1點05分,結束于下午5點40分。

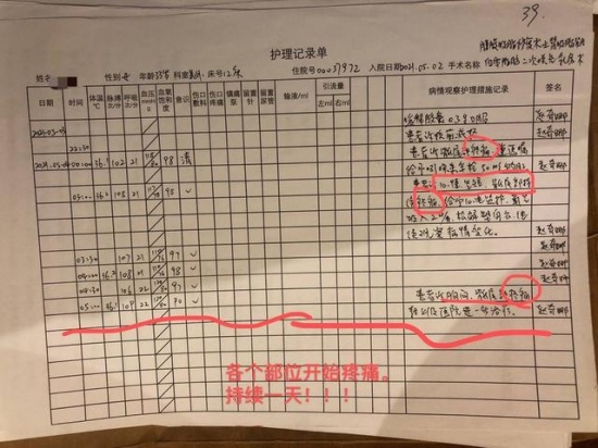
杭州女子吸脂手術后器官衰竭致死:杭州華顏醫療美容醫院術后護理單

杭州女子吸脂手術后器官衰竭致死:杭州華顏醫療美容醫院術后護理記錄單
護理記錄單上的術后記錄顯示,小冉手術后至5月4日凌晨五點小冉一直出現疼痛,并伴有氣短心悸等癥狀。

杭州女子吸脂手術后器官衰竭致死
“看到這些生冷的文字,我們都能感受到她當時的痛苦。我們后面才了解到,是小冉疼得不行自己打的120急救電話,才被送去的醫院。“家屬告訴記者,華顏醫療在小冉表達痛苦的時候只采用了簡單的用藥,以為是普通抽脂手術的疼痛但一直沒有得到緩解,期間曾休克昏迷醫生還以為她是在睡覺。
5月5日,經家人商榷,小冉被轉入浙江大學醫學院附屬第二醫院進行治療,在轉院的過程中家人第一次見到術后的小冉,多器官衰竭,前胸到肚子皮膚大面積潰爛,浮腫。

杭州女子吸脂手術后器官衰竭致死
由于錯過了最佳治療時間,只能在醫院通過多種醫療機器和藥物維持小冉的生命體征。期間浙江第二人民醫院為小冉做了兩次全身殺菌手術,直到7月13日腸胃大出血,醫生進行了奮力搶救,最終也還是沒能阻止再生細菌繼續感染在ICU熬了兩個月的小冉離開了人世,年僅33歲。
據天眼查APP顯示,杭州華顏醫療美容醫院成立于2018年6月,注冊資本為1000萬人民幣,目前該公司由杭州悅顏醫療科技有限公司和杭州儷顏醫療科技有限公司共同持股,經營范圍為醫療美容科,美容外科,美容皮膚科,美容牙科,美容中醫科/麻醉科醫學檢驗科(臨床化學檢驗專業、臨床免疫、血清專業),內科、臨床體液、血液專業等。

杭州女子吸脂手術后器官衰竭致死:天眼查信息
據國家衛健委醫生執業注冊信息查詢顯示,為小冉進行吸脂手術的主刀醫生高強的醫師級別為執業醫師,執業范圍為外科專業。多機構備案信息顯示,除了在杭州華顏醫療美容醫院執業外,高強還在杭州群英整形外科門診部有執業備案。

杭州女子吸脂手術后器官衰竭致死:小冉的主刀醫生
暫停營業無人交涉 家屬九問涉事醫院
7月14日,封面新聞記者了解到,杭州華顏醫療美容醫院目前已暫停營業,但醫院尚無相關人員出面與家屬就事故進行溝通,對小冉進行手術的醫生也注銷了個人微博。記者撥打該院電話,也一直處于無人接聽狀態。
小冉的家屬告訴封面新聞記者,他們對醫院的判斷和處理有九個疑問:
一、誤診問題:小冉應該是急性壞死性筋膜炎或者手術感染至休克,術后出現疼痛,醫生只是當做正常的術后反映,常規的給與止痛,對癥治療,沒有及時的向上級醫生匯報和及時的處理,耽誤了病情,加之小冉術后未能及時活動,引流不暢,滲出液堆積在皮下造成感染,最后導致感染性休克發生,致多臟器功能衰竭,如果當時及時的清創和處理(最佳時間應該是5月3日),小冉不會有生命危險。
二、沒有及時檢查:發現問題后沒有及時的復查血分析、電解質、生化等檢查,導致誤判病情。
三、術后醫囑醫生不是手術醫生本人,對患者病情不了解,原則上是不允許的,醫生未能意識到感染發生,一直給與止疼鎮靜處理,掩蓋病情。
四、手術時間是否過長?12:40---17:40,吸脂2000ml,純脂肪1500ml,手術時間5小時太長造成了術中感染。
五、術后沒有及時的記錄病情變化,醫療文書書寫有問題。
六、該醫院的環境和器械,是否有醫源性感染的問題?手術室無菌環境是否達標?手術器械是否符合滅菌要求?消毒鋪單是否過關?術后換藥間是否達到院感要求?醫生的無菌操作是否過關?
七、術區大片瘀斑,術中創傷面積大,醫生操作不當,提示吸脂層次過淺,操作粗暴。
八、未見醫療器械、敷料消毒合格監測標示卡。
九、手術護理記錄單標用了電刀,但無貼電極板的位置,護理記錄單中5月2-4號患者幾次訴疼痛,均只給予止痛處理,未見任何輔助檢查及處置。
整形手術有風險 變美需謹慎
2019年11月14日,成都女孩小李在閨蜜的陪同下到位于成都市高新區神仙樹南路的瑞斐思醫療美容機構做抽脂手術,在抽脂過程中,小李出現了異常反應,轉院后因搶救無效死亡,年僅32歲。
據了解,吸脂手術就是通過一根長約50厘米的金屬空心管經皮膚插入到脂肪層,管子后方連接帶有負壓的機器,將脂肪少量多次吸出體外,目前受到眾多愛美人士的青睞。
雖然該手術目前相對來說比較成熟,但也有一定的風險性,除了嚴重的皮膚壞死致人死亡外,抽脂手術最危險的并發癥就是脂肪栓塞以及大出血。脂肪血栓就是大量脂肪進入血管,進入人體血液循環,于是堵塞肺動脈,引起肺堵塞,從而導致呼吸困難、衰竭和死亡的情況的發生。
本文“”來源:http://www.coweal.com/news/shehui/76521.html,轉載必須保留網址。作者:記者 邱添